
NORWAY
There are no Commonwealth war cemeteries in Norway, those who died there being buried in civil cemeteries and churchyards connected with the campaign areas, mainly in small War Graves Plots, only those at Oslo and Trondheim containing more than 100 graves. Most of the war graves were cared for by the people of Norway throughout the German occupation and many continued to be maintained by the local authorities until 1963, when the Norwegian National Authorities undertook to maintain all the Commonwealth war graves situated in Norway. A number of the isolated graves, some of which were almost inaccessible, were later transferred to two established War Graves Plots, 13 being moved from four burial places into Sola Churchyard near Stavanger, and 9 from five scattered sites into Trondheim (Stavne) Cemetery. At the same time 64 isolated graves of the 1914 1918 War were concentrated from 26 burial places into a new War Graves Plot provided by the Norwegian Government in Fredrikstad Military Cemetery, which already contained the graves of 18 British sailors who died at the Battle of Jutland in 1916.
The total number of men of the Commonwealth Forces of the 1939-1945 War buried in Norway is 988 in 65 cemeteries and churchyards, of which 7 contain burials of the 1914-1918 War also. Those of the Commonwealth land forces who lost their lives in the Norwegian campaign of 1940 or in the subsequent raids on Vagso and the Norwegian mainland and have no known grave are commemorated on the Memorial in Brookwood Military Cemetery near London. The airmen who died on these and other flights over Norway whose bodies are not recovered are commemorated on the Air Forces Memorial at Runnymede.
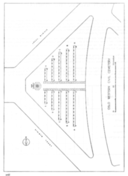
OSLO WESTERN CIVIL CEMETERY
Oslo Western Civil Cemetery (Vestre Gravlund) is on the north-western outskirts of the capital city, which lies at the head of Oslo Fjord on the south coast, about one kilometre north-west of the Frognerparken. In this large cemetery is the Commonwealth War Graves Plot, maintained by the Oslo Municipal Council, containing 102 burials of the 1939-1945 War, most of which are those of men of the Air Forces and of the Airborne Division. They are classified below.
Many of the airmen were shot down whilst attacking Oslo Airport at Fornebu; the majority of the remaining soldiers and airmen were killed in air crashes during the airborne landings at Oslo, 43 having lost their lives on 10th May, 1945, the day of liberation. The death of the Merchant Navy seaman buried in the non-world war grave was not due to war service.
In the War Graves Plot paving stones lead from the main path in front to the Cross of Sacrifice erected at the back. It was unveiled in November, 1949 by General Otto Ruge, who commanded the Norwegian Army at the time of the German invasion in April, 1940. All the graves are marked by Portland stone headstones.
Facing the Cross of Sacrifice on the opposite side of the front path, outside the plot, stands a memorial erected by the City of Oslo in honour of the men of the British Forces who died in Norway during the 1939-1945 War. It represents the figure of a mourning woman and was unveiled by His Majesty King Olav of Norway in June, 1960.
ISBN: 978-1-875552-31-3
A4 Comb Bound with laminated covers. 96 Pages